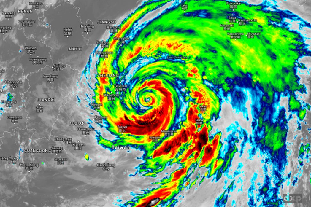
Der Super Typhoon Chan-hom rast auf Shanghai zu. Die Stadt hat am Freitag per SMS an alle Einwohner eine Unwetterwarnung der höchsten Alarmstufe geschickt. Am Samstag sind viele Geschäfte geschlossen und die Türen und Fenster mit Sandsäcken und Holzbrettern geschützt.

“Historically, the strongest typhoon to affect the city in the past century may be Typhoon Gloria of July 24-25, 1949, whose storm surge overwhelmed the city’s flood walls and left much of Shanghai a flooded ruin, with over 250,000 people homeless.”

Am Samstagnachmittag trifft der Typhoon auf Shanghai. Obwohl sich der Typhoon abgeschwächt hat, immer noch weit über 100km/h, werden an den beiden Shanghai Airports insgesamt 750 Flüge storniert. Die Stadt ist wie ausgestorben. Kaum Autos unterwegs, die wenigen Leute lehnen sich wie Kämpfer mit Schirmen gegen den Wind.

Seit Stunden regnet es in Strömen. Böen fegen durch die Häuser Schluchten. Hier und da wird ein Baum entwurzelt oder eine Mauer umgerissen. Glücklicherweise ist das Hochwasser auf einem niedrigen Pegel und mit Überschwemmungen ist nicht zu rechnen.

Ich gehe noch kurz eine kleine Runde joggen. Der Sturm und der Regen haben den Dreck aus der Luft gespült. Und ich bin neugierig. Wenige Leute, wenig Verkehr, viel Wasser. Ein Saxophon Spieler hat sich in einer kleinen Hütte verschanzt und winkt mir freudig zu.

Am Sonntag ist der Spuk vorbei. Morgens um 07:30 machen wir uns auf zum DiShui Lake. Segelregatta.

Chan-hom ist der mittler dreier Typhoone die ueber den Pazifik auf China zueilen. Linfa hat sich nach dem Landfall Nordoestlich von HongKong abgeschwaecht. Nangka is noch auf dem Weg, die Entwicklung laesst sich noch nicht absehen.

abc.net.au

washingtonpost.com